William Raveis Nantucket Logo
William Raveis Nantucket Logo
Mobile Header Right Icon
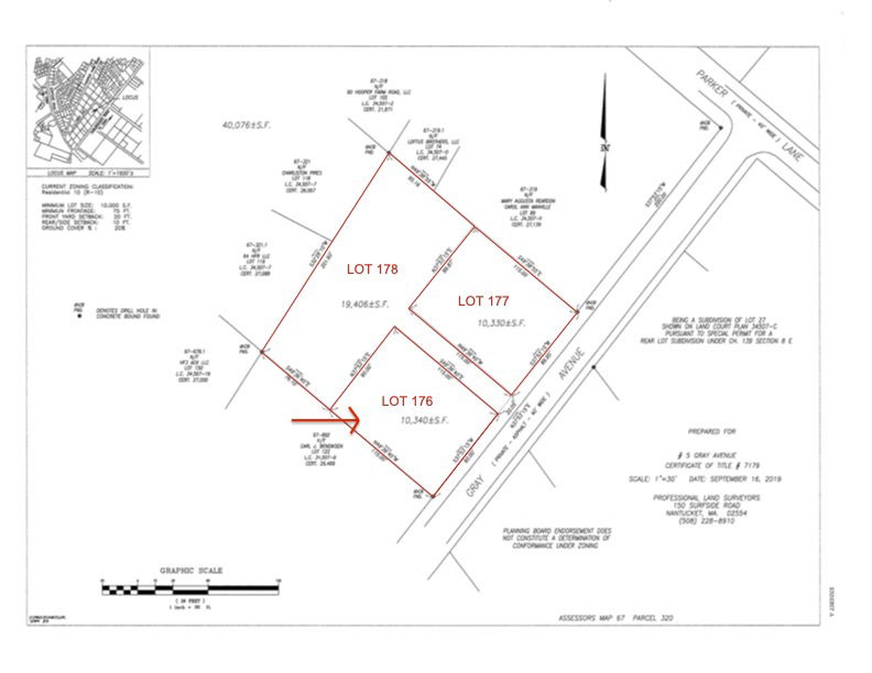
5 Gray Avenue, Lot 176