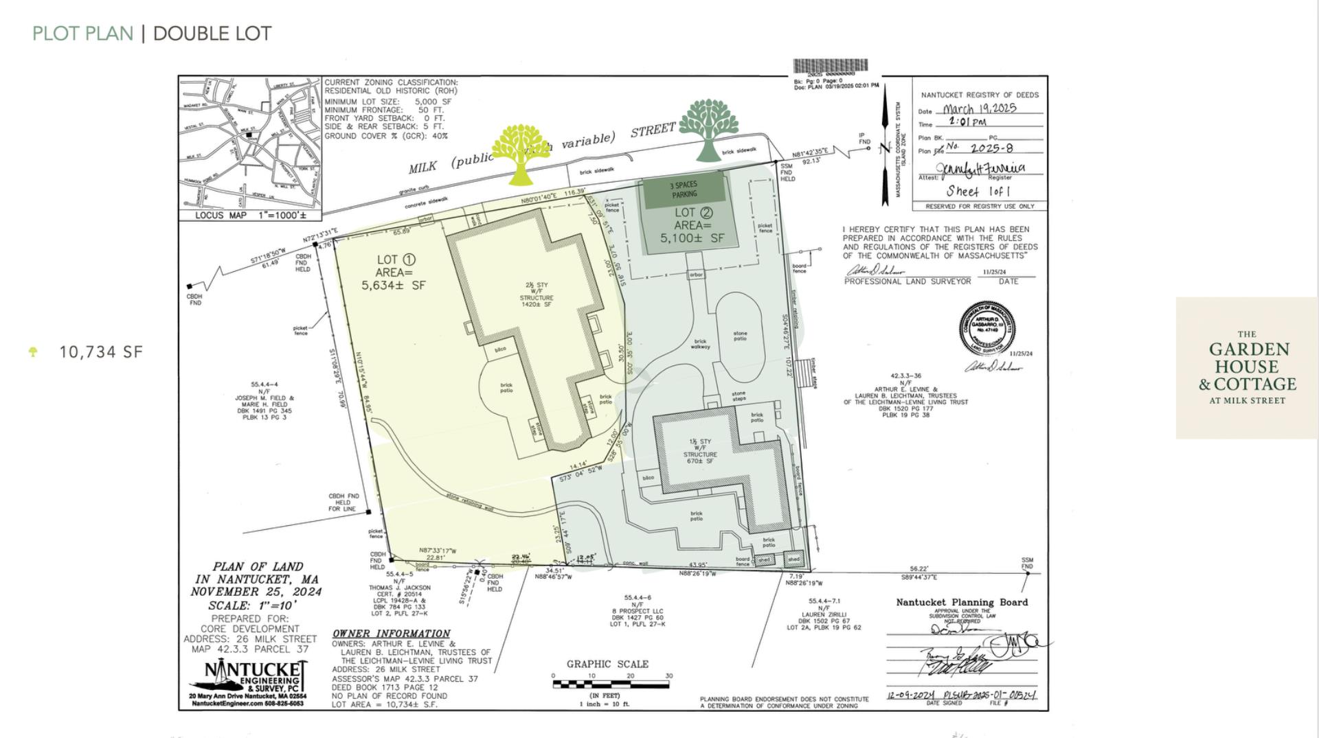
A rare opportunity to own two lots in Town: a 5 BR Main House and 3 BR Garden Cottage, each on their own separate conforming lot with ample remaining ground cover. Together, the two properties create a private, historic compound with room for growth in a premier in-town location. There is endless possibility and versatility given the remaining ground cover on both lots.
A true piece of Nantucket history, the Isaiah Folger House (c. 1770) exudes the grace and craftsmanship of 18th-century Nantucket, with original millwork drawings preserved in the home’s archives — a testament to its provenance. The existing floor plan lends itself beautifully being reconfigured to provide additional bedrooms and bathrooms, offering flexibility for modern living. With its spacious layout, dedicated off street parking, and full basement, the home can be comfortably enjoyed as is or reimagined with new decor.
The Garden Cottage was designed and built by Kenneth Duprey, author of the definitive book on Nantucket’s historic homes. It has been newly renovated in summer 2025 and is being sold fully furnished, turnkey with interiors by Melanie Gowen Design. It would be an ideal income producing rental, guest house, or afford larger expansion or customization to a new owner’s vision.
The portion of 26 Milk that is now Lot 1 transferred in March 2025 for $3,500,000; the portion of 26 Milk that is now Lot 2 transferred in July 2025 for $2,485,000. Tax assessor’s database has not yet been updated to reflect the recent subdivision and current ownership.
This historic in-town compound may qualify for state and federal historic rehabilitation tax credits (up to 40%+ of certified restoration costs). A rare opportunity for buyers seeking to blend preservation and investment potential. See agent for Nantucket Preservation Trust guidance and MA Historic Rehabilitation resources: www.preservationmass.org/historic-tax-credits